
Project Description
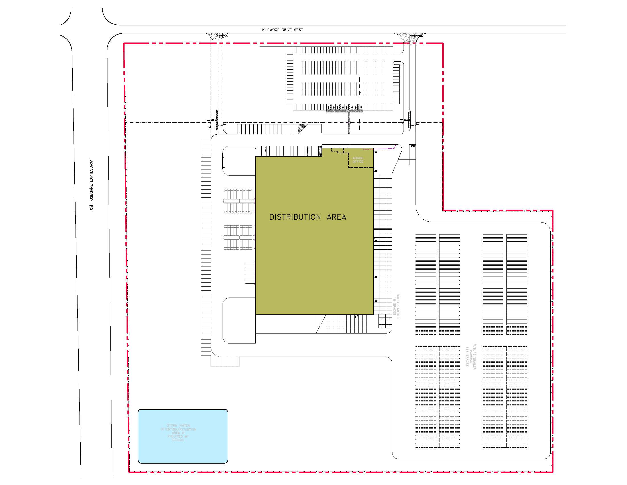
The site plan is designed to accommodate increased distribution demand for the new FedEx distribution center in NE.
Project Details
- Date: 2020
- Tags: Office
The site plan is designed to accommodate increased distribution demand for the new FedEx distribution center in NE.